天気くもり晴れ 風向南西 波高1.5〜1.2m 潮動かず 水温13℃ 港周りは、マシだったので、7時過ぎに出船しましたが、北東の大ウネリが残っていましたσ(^_^;) もう少し、落ちると思いましたが、、…
ヒラマサ&グレ*\(^o^)/*
天気晴れくもり 風向東 波高1m 潮下り 水温13.5℃ 東寄りの波で、港周りはましでしたが、大島より東は、結構な波がありましたσ(^_^;) この時期珍しく、ヒラマサが回ってます^_^ 今日は、82cmのナイスサイ…
グレ!
天気 雨くもり 風向 南西 波高 0.5m 潮 上り 雨が降ったり、止んだりのスッキリしない1日でしたが、風も弱く、いい凪でした! 少人数での、出船でしたが、何とか良型グレの顔が拝めました^_^ 地のコバン 西谷さん …
1月22日 マダイ(*^_^*)
天気 晴れくもり 風向 南 波高1.2〜1m 潮 下り 水温 14℃ お気付きの方もいると思いますが、 HPを新しくしました! 船釣り料金など、変更したところもあるので、よろしくお願いしますm(._.)m 更新は、…
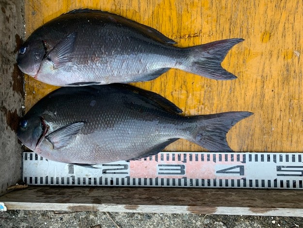
良型マダイ&グレ(^^♪
天気 晴れくもり 風向 南西 波高 0.8~0.6m 潮 上り 水温 14℃ 日曜日でたくさんの方にお越し頂きましたが、 狙いのグレはかなり渋いです・・・(;^ω^) フグまみれの場所、エサが残ってもコブ、コブ、…
ヒラマサ&グレ(^^)v
天気 くもり雨 風向 南西 波高 1m 潮 上り 今日も少人数でしたが、出船しました(^_^;)3時まで風も弱く十分やれました! グレタックルでヒラマサに2回切られ、ベイシスBGに持ち替えても切られ・・・ヒラマサは…
今日も撤収~
天気 くもり雨 風向 南西~西北西10m 波高 1m 潮 緩い 昨日の波は、朝には落ちている予報でしたが夜中には落ちていた波が、朝方になってから上がりだし。。。 暗いうちから船を降ろすのは、ちょっと怖いので明るくな…
グレ好調!?
天気 晴れくもり 風向 南西~西 波高 0.9~1m 潮 下り 水温 14℃ 朝一から出船できましたが、北東のうねりが残っていました(^_^.)昼から西風予報なので、陰に磯着けしたかったのですが、そうもいかず難し…
2020年 初出船!
天気 晴れ 風向 南東~東 波高 1.3~1m 潮 下り あけましておめでとうございます!今年も前田渡船をよろしくお願いしますm(__)m かなりの波がありましたが、天気も良く、落ちてくる予報だったので、9時頃に出…
年内ラスト!
天気 雨~晴れ 風向 南西~東 波高 0.5m 潮 下り 朝の内、雨がよく降りましたが、9時過ぎにはあがりました(;^ω^)波は、かなり落ちて、ほとんどの磯が使えました(^^)/ ただ、潮が相変わらずの、ほとん…










